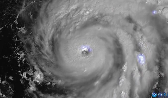
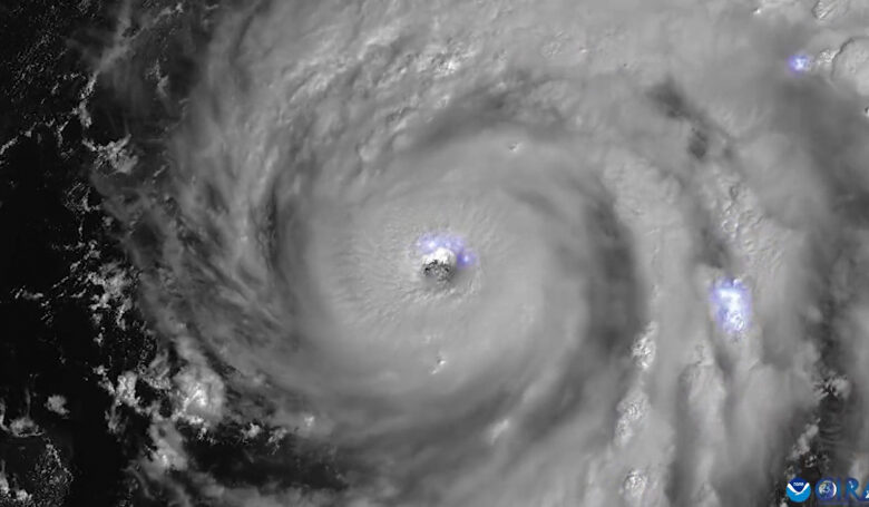
Florida në gatishmëri të lartë, uragani “Milton” mund të jetë më shkatërruesi

Florida është në gatishmëri të lartë pasi uragani Milton i afrohet bregut perëndimor të shtetit, duke sjellë rreziqe serioze për herë të dytë në më pak se dy javë, pas shkatërrimit të shkaktuar nga uragani Helen.

Presidenti amerikan Joe Biden u bëri thirrje qytetarëve që të evakuohen përpara se uragani Milton të godasë Floridën.

“Mund të jetë stuhia më e keqe që ka goditur Floridan në më shumë se një shekull,” tha Biden gjatë një takimi në Shtëpinë e Bardhë me këshilltarët.

Gjithashtu qindra fluturime për dhe nga Florida janë anuluar pas paralajmërimeve se vendi do të goditet nga uragani Milton.

 

Lajme të ngjajshme

Lajmet e fundit